조황관리HOME / 조황관리 / 상세정보

제목 : 여수빅보스호 3월 30일 타이라바조황 소식 전합니다
등록일 : 2025-03-30
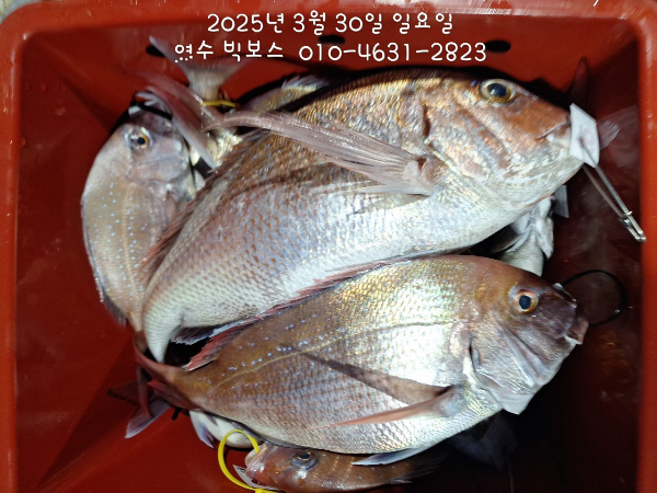
???? 빅보스 타이라바 조황 ????

잔바리 손맛은 원없이 보고 또 원없이 방생했습니다~ 

아직 참돔이 많아요 

4월도  참돔 일정 잡아놓겠습니다

다음 조금 물때  백도권 빠가 참돔  잡으러 갑니다! 

4월 4일, 5일,6일 (금요일 토요일 일요일 )

조금시에 맞춰  백도 빠가 타이라바 일정 잡았습니다

내만 봄갑오징어는 올꽝 배가 나오고있어 잠시 접어둡니다... 

황명희선장 010-4631-2823
 
???????????????????? 예약 사이트 사진클릭????????????????????

⬇️⬇️⬇️⬇️⬇️⬇️⬇️⬇️⬇️⬇️⬇️⬇️⬇️⬇️⬇️


===== 여수 빅보스호 예약안내 ======

 안녕하세요! 여수 빅보스호입니다.
먼길 찾아주시는 조사님들 항상 감사드리며
매 순간 진심을 다하는 빅보스호가 되겠습니다. 
 

■ 예약문의 : 
010-4631-2823
■ 오시는길 : 전남 여수시 하멜로 64-1
■ 여수 빅보스호 실시간 예약 바로가기 : http://big.sunsang24.com/
■ 여수 빅보스호 밴드 바로가기 : 
https://band.us/@bigboss1980 
■ 여수 빅보스호 블로그 바로가기 : http://blog.naver.com./heamosu-ys 
■ 선비 안내 : 생활낚시:8만 , 평일/주말 동일 (롱타임 :11만)
              타이라바 15만(지렁이포함) , 심해갑오징어(15만)
■ 계좌안내 :
 신한은행 / 110-392-257772 / 주윤미
■ 선사제공 : 개인도시락,생수,커피,라면,간식
■ 출항 : 어종/시즌마다 다름 (출항 30분 전까지 승선부탁드립니다)
■ 입항 :15시 이후/ 롱타임 17시 이후 (생활낚시 기준)
■ 자리배정은 추첨식
■ 1번 뽑으신 분부터 원하는 자리 선택 가능

■ 우선배정은 이틀자,4인 이상 단체(단체 일렬배정)

■ 예약금은 입금 완료하셔야 예약확정됩니다.
■ 출항일 기준- 3일전 100% 환불 , 2일전 50%환불 , 1일전 환불 불가
■ 기상에 따라 출항일정이 변경 될 수 있는 점 양해바랍니다.


조황카드.gif
 
Top